সংবাদ শিরোনাম ::
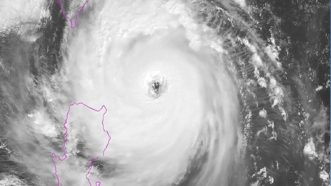
৩০ বছরের মধ্যে সবচেয়ে ভয়ংকর টাইফুন কং-রে
ধেয়ে আসছে সুপার টাইফুন কং-রে। বর্তমানে এটি ৩০০ কিলোমিটার বেগে উপকূলের দিকে এগিয়ে আসছে। ফলে তাইওয়ানে ৩০ বছরের মধ্যে সবচেয়ে









